成都中国华商金融贸易中心基坑支护设计简述

2016-06-02 503 0
核心提示:一、工程概况  中国华商金融贸易中心位于成都市新城市中心的核心区域城南金融片区。建成后是中国西部金融中心及配套会议、购物


一、工程概况
  中国华商金融贸易中心位于成都市新城市中心的核心区域—城南金融片区。建成后是中国西部金融中心及配套会议、购物、居住的高端综合体。
  本项目设置四层地下室。由一栋裙楼和四栋塔楼组成,商业裙楼建筑总高度30.0m。1#与2#超高层办公塔楼(6层-38层)高度为163.3m,3#与4#超高层公寓塔楼(6层-44层)高度为151.9m。
  主楼采用筏板基础,裙楼采用独立和条形基础。

二、基坑概况

  2.1基坑基本特征
  •基坑工程安全等级:一级
  •基坑深度:主楼:23.70m 裙楼及纯地下室:21.40m(在成都地区属于超深基坑)
  •基坑周长:625.23m
  •基坑面积:27437.75m2(基坑土方开挖量较大)
  •基坑暴露时间长:安全保证期大于2年,充分考虑支护体系在使用期间的稳定和耐久性问题。
  2.2基坑周边环境
  (1)北向临近市政道路,路宽23.0-33.0m,对面在建工地。
  (2)西向临近市政道路,路宽19.0m,道路对面为已建的东方希望中心(地下二层);基坑开挖上口线距离东方希望中心地下室边线44.8m。
  (3)南向临近市政道路,路宽8.0m,道路对面为拟建空地。


  (4)东北向紧邻地铁一号线冷凝塔与风亭约3.0m。
  (5)东南向基坑开挖上口线距地铁隧道约18.7m。
  2.3基坑场地地质情况
  •基坑场地地形较为平坦,勘探点地面绝对标高为492.82~494.41m,相对高差为1.59m。本次勘察揭露的地层由第四系全新统素填土、第四系上更新统冲、洪积层粘土、粉质粘土、砂卵石及白垩系灌口组泥岩组成。
  •素填土(Q4ml):灰黑色,稍密,湿,主要由粘性土、粉土组成,性质较差。
  •粘土(Q3al):褐黄色~灰褐色。硬塑,稍湿。有光泽,无摇振反应,干强度高,韧性高,具有微膨胀性。
  •粉质粘土(Q3al):褐黄~灰黄色,可塑,稍湿。光泽一般,无摇振反应,干强度较高,韧性较高。
  •卵石(Q3al+pl):深灰~灰黄色,湿~饱和,稍密~密实。卵石成分主要由岩浆岩等组成,呈亚圆形。
  •泥岩(K2g):紫红色,稍湿,薄~中厚层状构造,泥质结构。



  2.4土层的物理力学性质
 
  根据现场原位测试成果和室内土工试验结果,地勘单位提供的各地基土层的主要物理力学性质指标建议值如下表。

三、基坑设计难点
  1、基坑开挖深度大,采用常规的土钉墙和排桩支护形式不可行,需考虑锚索、内支撑等支护构件相结合的支护体系。
  2、地铁1号线已投入运营,紧邻本基坑东侧,在排桩上设置锚索时,锚索施工钻孔时易碰触到地铁隧道,故基坑东侧不宜使用锚索支护。且成都地铁公司有强制条文规定:地铁隧道以外20m范围内为禁建区,不得任何形式的支护构件进入。故锚索方案已不可行。
  3、本场地范围内存在部分的膨胀土,膨胀土具有遇水膨胀的性质,会产生极大的水平膨胀力,对基坑支护体系构成极大的威胁。
  4、本基坑安全重要性非常大,基坑紧邻地铁1号线,需严格控制桩顶及深层位移,一旦出现破坏,后果不堪设想。
故选择一套安全可靠又经济可行的支护方案迫在眉睫!

四、基坑设计参数选取
  支护体系开始工作时,基坑降水是24小时不间断运行的,根据在成都地区做过的基坑设计施工经验,基坑降水后,土层强度有所提高,故对建议的力学参数指标可提高10%-15%,有助于基坑支护体系的优化。

五、基坑支护选型

  5.1基坑北、西、南侧
  周边环境较简单,基坑开挖上口线离已建项目较远,对支护选型制约较小,故支护形式采用排桩+预应力锚索相结合。
  依据中冶成都勘察研究总院提出的设计参数计算出来,采用三道预应力锚索可满足规范要求。
  锚索长度自上而下分别为:22m、18m、17m。

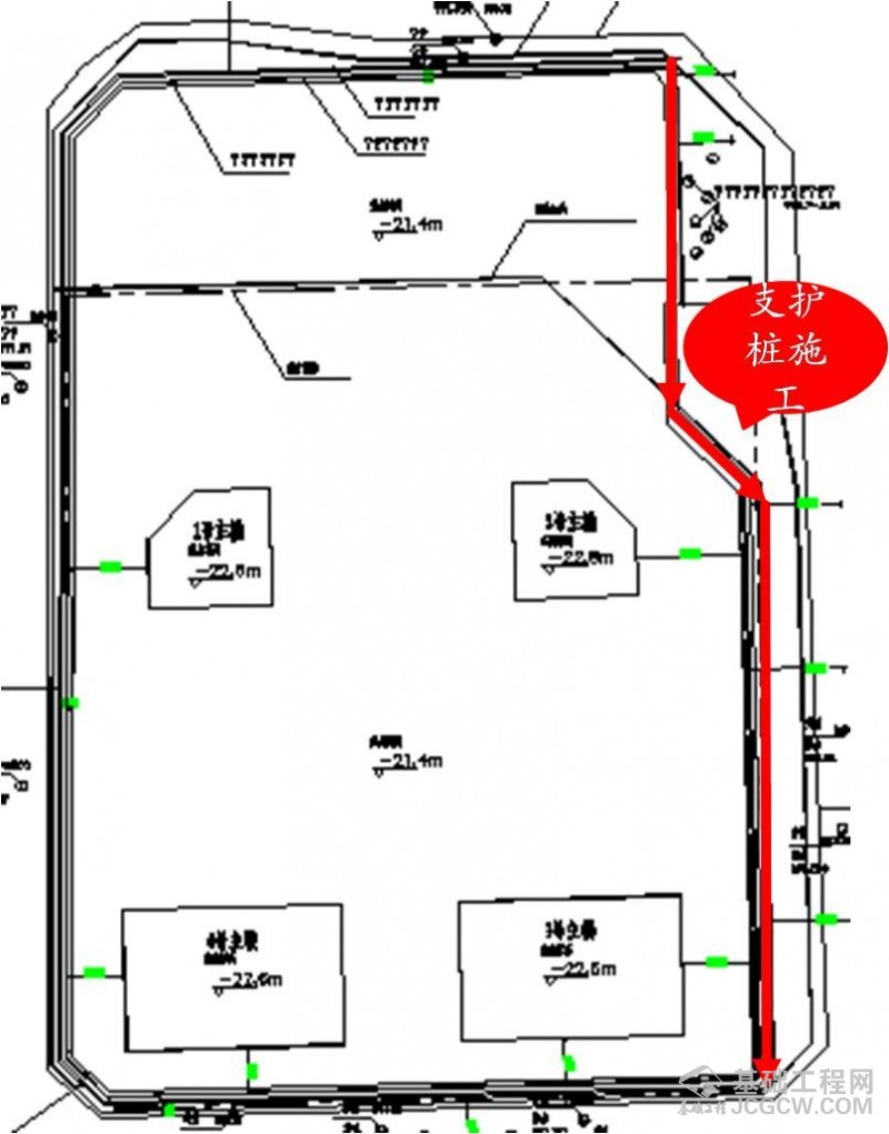
  5.2基坑东侧-重点初步选型



  5.2.1水平砼斜支撑方案


  5.2.2水平砼对撑方案



  前两套方案在经济造价上pass掉了
  中冶成都勘察研究总院提出了一套既安全有经济的支护方案:
  逆作法设计及施工方案——支护结构与主体结构的支护
  即主体地下结构水平构件作为支护结构的水平支撑

六、支护结构与主体结构支护设计
  6.1两个设计阶段
  1、第一阶段:基坑开挖到地下结构施工至正负0.00之前,支护体系:排桩+反压土单排桩,桩径1.2m,桩芯距2.2m,桩身锚固段5.60m
  反压土顶标高-5.5m,预留平台2.0m,土体采用喷锚灌浆支护加固
  2、第二阶段:地下结构施工至正负0.00,支护体系:排桩+地下结构水平构件
利用地下结构的顶板梁、负一层底板梁、负二层底板梁组成的三道支撑




 

七、逆作法的施工设计
  1、沿基坑东侧施工支护桩
 




 

  2、土方开挖自西向东开挖保留反压土体
  土体宽度为地下室外墙与临近的第一个独基距离约12m


 


  3、开始施工蓝色区域地下结构
  施工至正负0.00之前,支护体系:排桩+反压土体


 


  4、施工绿色区域与支护体系连接
  地下结构施工至正负0.00后,开始施工预留的地下结构的水平构件至支护桩上
 


  4.1、施工顶板梁到支护桩顶的冠梁上


 
  4.2、挖除负一层底板梁以上的反压土,支护桩上浇筑第一道砼腰梁,然后浇筑负一层底板梁至支护桩的砼腰梁上。

  4.3、挖除负二层底板梁以上的反压土,支护桩上浇筑第二道砼腰梁,然后浇筑负二层底板梁至支护桩的砼腰梁上。

  4.4、挖除剩余的反压土体后,支护体系由排桩+反压土形式转换成排桩+地下结构水平构件支护形式。
  待最后一跨的地下结构施工完毕,基槽回填后,本次基坑护壁的使命就完全结束了。

八、基坑变形观测
  8.1监测项目:
  •桩顶水平位移
  •地下管线沉降监测
  •道路沉降监测
  •支护桩的深部位移检测
  •人工巡视检查及裂缝监测
  8.2监测结果:
  本基坑目前已基本施工完毕,通过监测结果分析,支护结构顶部最大水平位移为约17.10mm,表明变形控制良好。

  深部位移最大为12.55mm,累积位移小。

 

 
孔深与位移图
  地面最大沉降量为17.15mm,地下管线最大沉降量为9.32mm,表明变形控制良好。






 
九、经验总结

  1、本项目属于超深基坑,基坑东侧紧邻正在运营的地铁一号线。中冶成都勘察研究总院提出的地下结构与水平构件相结合的逆作法设计施工方案经实践考验,安全可靠,经济合理,为业主节省了大量工程投资。
  2、在理论设计计算中,根据该院经验,对土层设计参数进行了适当提高,进一步优化了支护体系。而优化后的支护体系也是经过了实践的考验。
  3、当然,该项目在施工过程中,也遇到了许多问题,比如挖土施工比较困难、主体支撑梁只能设置在固定位置,受层高限制、地下结构与水平构件的节点处理较麻烦等问题。
  通过本项目,也为该院在今后的类似设计中能积累经验,打好了基础,也会从在施工中出现问题,不断完善各方面的细节,最终目标是为今后的工程项目提供更加全面和系统化的成果资料。
(本文摘自2016海峡两岸岩土工程/地工技术交流研讨会分会场报告,报告人:彭界超)

  • 点赞(0
  • 反对(0
  • 举报(0
  • 收藏(0
  • 分享(15
评论(0)

登录后发表评论~